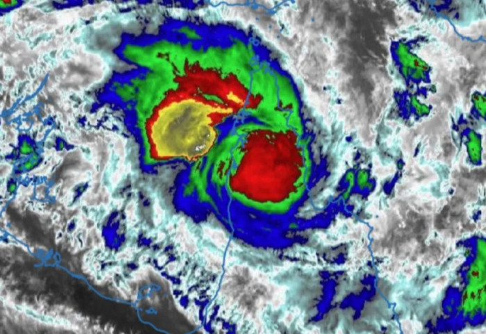
Cikloni Narelle godet Australinë, priten përmbytje të mëdha
Një ciklon në Australi, të cilin autoritetet e thanë se mund të jetë ndër "më të këqijtë në kujtesën e gjallë", duket se ka qenë më pak dëmtues sesa ishte parashikuar, por shqetësimet mbeten për përmbytjet e mëdha.
09:31 23 ditë më parë20.03.2026.
Autori


